Access More Boat Tests
Already have an account? Login
Maritimo X60 (2019-)
2 x 1000-hp Volvo D13
Brief Summary
To improve performance, Maritimo designed the X60 with the dual Volvo Penta D13 1000-hp diesel engines and tankage, forward, close to midships to create more balanced weight distributions. By doing so, Maritimo created a novel aft accommodation space accessible from the salon and swim platform deck. Maritimo offers several configurations for this space including what they dub a Beach Club, which is a convertible living space that can convert from a lower social and entertainment area to an additional stateroom.
Test Results
| RPM | MPH | Knots | GPH | MPG | NMPG | SM | NM | dBa |
|---|---|---|---|---|---|---|---|---|
| 1000 | 10.4 | 9 | 10.3 | 1 | 0.9 | 1036 | 901.3 | 84 |
| 1250 | 11.3 | 9.8 | 20.1 | 0.6 | 0.5 | 575 | 500.2 | 89 |
| 1500 | 17.1 | 14.8 | 32.7 | 0.5 | 0.5 | 533 | 463.1 | 85 |
| 1750 | 22.8 | 19.8 | 46.2 | 0.5 | 0.4 | 503 | 437.4 | 90 |
| 2000 | 29.1 | 25.3 | 63.5 | 0.5 | 0.4 | 468 | 407.1 | 93 |
| 2200 | 33 | 28.7 | 79.3 | 0.4 | 0.4 | 425 | 369.3 | 93 |
| 2400 | 36.3 | 31.5 | 91.5 | 0.4 | 0.3 | 405 | 351.9 | 93 |
| 2460 | 38.1 | 33.1 | 93.3 | 0.4 | 0.4 | 417 | 362.4 | 93 |
Specifications
| Length Overall | 63' 9'' (19.43 m) |
|---|---|
| Beam | 17' 1'' (5.21 m) |
| Dry Weight | 67,240 lbs. (30,500 kg) |
| Tested Weight | 69,805 lbs. (31,663 kg) |
| Draft | 5' 2'' (1.57 m) |
| Max Headroom | 7' 6'' (2.29 m) |
| Fuel Capacity | 1,135 gal. (4,296 kg) |
| Water Capacity | 211 gal. (799 kg) |
| Total Weight | 69,805 lbs. (31,663 kg) |
Acceleration Times & Conditions
| Time to Plane | N/A |
|---|---|
| 0 to 30 | N/A |
| Ratio | N/A |
| Props | 2 X 5 blade |
| Load | 8 persons, 1/4 fuel, 1/4 fuel, 50 lbs. of gear |
| Climate | 71 deg., wind: 5-10 mph; seas: 3' |
Engine Options
| Tested Engine |
2 x 1000-hp Volvo D13 |
|---|---|
| Std. Power |
2 x 800-hp Volvo Penta D13 |
| Opt. Power |
2 x 1000-hp Volvo Penta 2 x 1200-hp Volvo Penta |
Captain’s Report by Capt. Mark Kellum
Mission
Maritimo designed and built the X60 as a luxury performance cruising yacht that achieves efficient fuel economy while being blue water capable. To contribute to that mission, the Maritimo X60 exhibits innovative features throughout. The galley, salon, and below deck accommodations provide additional livability for long distance cruising.
Distinguishing Features
- Aft accommodation space with en-suite head accessible from the salon or the swim platform.
Major Features
- Forward Mounted, Dual Straight-Shaft Diesel Engines. For a more balanced weight distribution, the engines are mounted more forward than traditional sport yachts. The straight shafts eliminate the weight and expense of pod drives.
- Walkaround Double Berths. Both the master and the forward stateroom offer double berths that can be walked around.
- Guest Stateroom. There is a third stateroom with upper and lower twin berths.
- Full Galley. The fully equipped galley is accessible from the salon and the aft deck and features an island counter with icemaker and storage.
- Forward Sun Pad. The forward deck has side-by-side sun pads with adjustable backrests.
- Hydraulic Swim Platform. The swim platform lowers into the water hydraulically.
- Summer Kitchen. On the aft deck is a built-in grill, sink, and refrigerator.
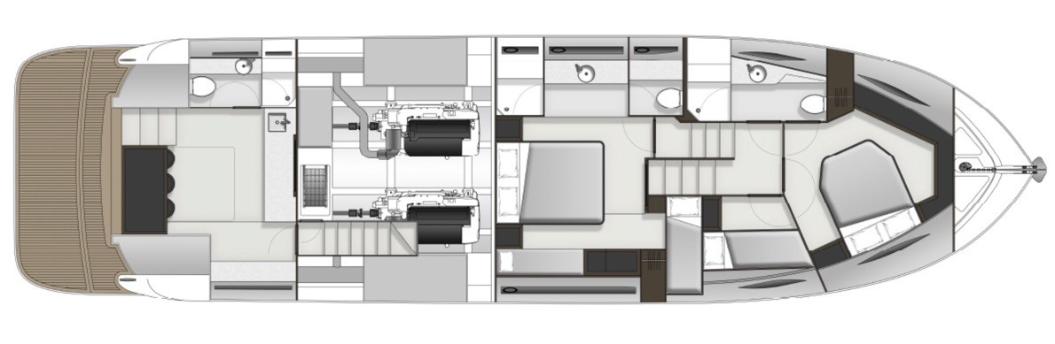
Main deck with aft deck, galley and salon. The helm is mounted forward on the starboard side. Forward is twin sun-pads with adjustable backrests and bench seating.
Design
By placing the engines further forward than a traditional sport yacht, Maritimo created several innovative results. Better fuel efficiencies, an aft accommodation space where the engines would typically be and a better running attitude.
Performance
The Maritimo X60 has a length over all of 63’9” (19.42 m), a beam of 17.1” (5.21 m), and a draft of 5’2” (1.57 m). With a dry weight of 67,240 lbs. (35,500 kg), 28-percent fuel, 24-percent fuel and eight people onboard, we had an estimated test weight of 69,805 lbs. (31,663 kg).
Top Speed. With the Volvo Penta D13 1000-hp engines running at 2460 rpm, we recorded a top speed of 33.1 knots (61.3 kph). That speed resulted in .4 nmpg, a number that remained relatively steady through all throttle settings down to 1750 rpm.
Best Cruise. Therefore, there is no best cruise, but we found the Maritimo X60 ran quite comfortably at that 1750 rpm setting and 19.8 knots (36.7 kph). At that speed, she was burning 46.2 gph which translated into a range of 437.4 nm. All while still holding back a 10% reserve of the boat’s 1,135-gal (4,300 L) total fuel capacity.
Handling
With the weight more evenly balanced, the Maritimo X60 displayed a natural 5-degree bow high attitude that doesn’t diminish the forward view but does allow those hard chines to keep spray low and wide for a dry ride. She demonstrated a gentle 7-degree roll into turns. The Maritimo X60 offers a dry ride, thanks to her hard chines carried so far forward.
Boat Inspection
Stern
The inspection starts at the stern which is where one of the most obvious benefits of moving the engines closer to midships is displayed. That is the addition of flexible aft accommodations. Maritimo offers three different configurations of this space; beach club, aft cabin or tender garage. The Maritimo X50 that was tested was configured as the standard beach club mode.
Aft Deck
The aft deck is designed to be an al fresco social area. The hardtop extends over the deck and there is bench seating at the transom and L-shaped bench seating to port. A dining table expands and rotates to serve the entire seating area. A summer kitchen compliments the galley.
Shower Wand. There is a pull-out shower wand at the top of the port side transom stairs.
Galley
Entering from the aft deck to the main deck via the door is a triple pane glass divider that slides into an open position with a secure latch. The galley is immediately to port with an island countertop on the centerline. Immediately to starboard are the stairs leading to the aft accommodations. By having the galley just inside, it can serve both the salon and aft deck equally well.
Aft Accommodations Stairwell. On the starboard side, directly across from the galley is the stairwell to the aft accommodations and mechanical space door.
Salon
Moving forward from the galley on the Maritimo X60 is the salon area for entertaining indoors. There is storage in a credenza-style cabinet, for storage and bench seating, behind the helm seating on the starboard side. On the port side is U-shaped bench seating with a convertible dining table.
The table opens with two hinged panels. The table swivels to allow people access to the seating without having to collapse the panels. Under the insert is storage.
Helm
The helm on the Maritimo X60 is designed with the operator in mind. The helm is upholstered in soft touch vinyl. The dash has room for two multifunction 22” displays and a smaller engine diagnostic display below. The helm seats reflect Maritimo’s racing heritage.
Forward Entertaining Area
The forward deck on the Maritimo X60 is designed to be another al fresco entertaining area.
Side Decks. The side decks measure 12.6” (32.0 cm) wide and have a generous toe rail that is approximately 18.1” (46.0 cm) high.
Forward VIP Stateroom
Moving below, the forward VIP stateroom has a double berth that is oblique with the headboard on the starboard side and the berth angled toward the centerline. Unlike traditional centerline forward berths, this approach allowed Maritimo to design a forward berth that is completely walkaround with no steps. Much easier to get in and out as well as making the berth.
Guest Stateroom
From the companionway the guest stateroom is to starboard. It features over and under berths at right angles to one another. The hull side window and overhead hatch add natural light.
Guest Head
The VIP stateroom and the guest stateroom on the Maritimo X60 share a common head compartment to port of the companionway. There are two doors that provide egress from the VIP stateroom and a door for entry from the companionway.
Master Stateroom an En-Suite Head
Maritimo incorporated the head into the full beam master. By doing so, the Maritimo X60 Master suite has a more intimate, personal feel. Stylish hull-side windows bring in natural light and opening portlights allow fresh air into the stateroom.
Mechanical Space
The full stand up mechanical space houses the dual Volvo Penta D13 1000 diesels with straight shafts and dripless shaft seals, with all-round access to the diesels and systems.
Straight Shafts. Maritimo decided to use straight shafts on the Maritimo. This is a better alternative to pods as Maritimo X60 has just as much maneuverability around the docks thanks to the bow and stern thrusters. In turn, it’s a more cost-effective solution and requires less maintenance. To the forward bulkhead are the fuel filter/water separators.
Fuel Tanks. For better weight distribution, and therefore better performance, the fuel tanks are to the port and starboard of the main engines and sight gauges are fitted showing levels at a glance.
Options to Consider
The aft accommodations, number of staterooms and engines are the primary options to consider. BoatTEST.com tested the Maritimo X60 as the three stateroom, beach club configuration with Volvo D13 1000 diesels. Maritimo offers two other aft accommodations and a two-stateroom layout.
Engine Options
Standard Power: Dual Volvo Penta D13 800-hp
Test Power: Dual Volvo Penta D13 1000-hp
Optional Power: Dual Volvo Penta D13 1000-hp
Dual Volvo Penta D13 1200-hp
Layout Options
Warranty
Full warranty information on this brand coming soon.
Price
Pricing Range: $2,232,000
Prices, features, designs, and equipment are subject to change. Please see your local dealer or visit the builder's website for the latest information available on this boat model.
Observations
The X Series signals a new generation of yachts for Maritimo, and it is a step in a progressive direction. It comes with the quality handling and ease of use that the brand is well known for. Plus, they come furnished with an upscale fit-and-finish. The series also marks some out of the box thinking with a more creative look at the aft space that would otherwise be relegated to storage. The Maritimo X60 clearly sends the message that forward thinking is evident at Maritimo, especially in the design and build. Rather than settle for the usual, same old design and layout, this yacht represents some definite ingenuity and clever use of space that seem to be absent with some other yacht builders.























































































